
Map data courtesy of DDC, the Village of Yellow Springs
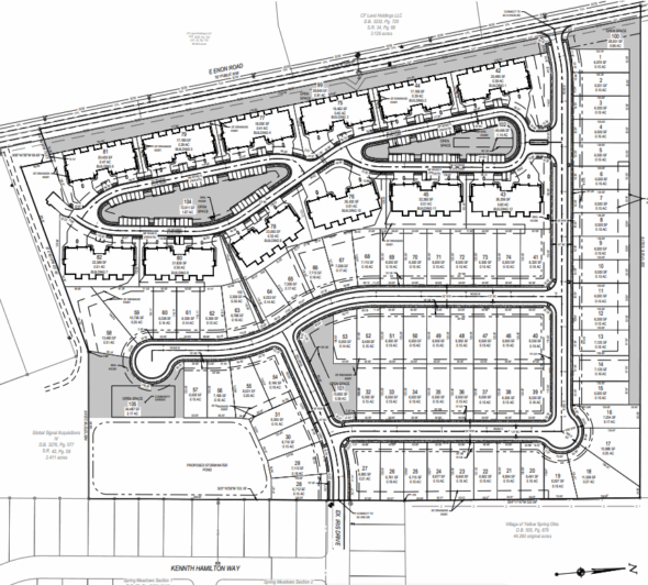
Planning Commission to consider 190-unit addition to Spring Meadows
According to DDC’s preliminary plat application, which was sent to Planning Commission members on Friday, Nov. 7, 120 of the units will be attached single-family — 12 structures with 10 dwelling units in each — and the remaining 70 units will be detached single-family homes.
Click here to read more >>-
2026 Election | All issues pass, new faces elected
In local leadership races, Yellow Springers elected a slate of new faces to every local body — Village Council, Miami Township Board of Trustees, Yellow Springs Board of Education and Yellow Springs Mayor.
[More] -
Village budget projected to be at $558K deficit for 2026
Village Finance Director Michelle Robinson said at Village Council’s second and final budget session, Oct. 15, that the projected municipal deficit for 2026 is around $558,100 — down from an earlier estimation of $820,000, and now accounting for several Council special initiatives.
[More] -
Village Council skeptical on banning conversion therapy in Yellow Springs
At the most recent Village Council meeting, Monday, Oct. 20, several villagers floated the idea of Council one day passing a law that bans conversion therapy within Yellow Springs limits.
[More]
More Stories
Village Council wavers on Short Street future
Vote-seekers sound off at James A. McKee Candidates Nights
Hear the voices of women Vietnam vets in ‘We Were There’
Conscience and connection in new sci-fi novel
John Gudgel honored for 45 years in YS Schools
Move and sing at the Foundry’s Trad Romp Wknd
Arts (archives)
-
World House Choir honors the legacy of civil rights fireband Pauli Murray
This weekend, the 10-movement dramatic cantata, “Sincerely Yours, Pauli Murray,” will be performed in Yellow Springs Friday and Sunday, Nov. 7 and 9, and in Cincinnati on Nov. 8. -
Hear the voices of women Vietnam vets in ‘We Were There’
The reader’s theater production, adapted by Jane Blakelock, Amy Bennett and Louise Smith, with support from Mad River Theater Works, will be performed Nov. 1 and 2. -
Conscience and connection in new sci-fi novel
Set in 2275, “Interwoven” follows Chief Scientist Dr. Tah Morant, conflicted creator of the Deuteron engine, slated to be used in humanity’s last desperate mission off a dying Earth.
Village Schools (archives)
-
John Gudgel honored for 45 years in YS Schools
“That’s the power of John Gudgel — to see what’s possible when others can’t, to open doors quietly but meaningfully, and to leave generations of students and families better because of his heart,” Assistant Superintendent Megan Winston said. -
Young thespians summon spirit of Poe in ‘Shuddersome’
The words of Edgar Allan Poe are set to haunt local audiences this weekend, as Yellow Springs Middle and High School thespians will stage “Shuddersome: Tales of Poe,” a one-hour adaptation of some of Poe’s most chilling works, Friday and Saturday, Oct. 24 and 25, at First Presbyterian Church. -
Good news for Mills Lawn Elementary
On Tuesday, Sept. 9, the Bulldog News at Mills Lawn made its first live broadcast since 2020. Now, every school day, a rotating group of four sixth graders — two anchors and two technical crew — go live at 8:05 a.m. in the school’s STEM classroom.
Economy (archives)
-
‘Intoxicating hemp’ ban blocked, village businesses still in the lurch
"With DeWine’s executive order temporarily blocked, Yellow Springs businesses can continue selling their hemp products under the grace of state law until at least Oct. 28, but beyond that, the future remains unclear." -
New dimensions for local bookstore
The long-lived Epic Book Shop in Yellow Springs ended its story last year, making way for its successor, Tesseract Books, which officially opened with a ribbon-cutting ceremony at 232 Xenia Ave. earlier this month. -
In good hands at Running Errands, the village’s newest nail salon
A new place to get pampered is opening up in downtown Yellow Springs this month: Running Errands, a nail salon set to open on Wednesday, Oct. 15.
Village Life (archives)
-
Yellow Springs Halloween activities set
In addition to trick-or-treat, neighborhood bonfires — with firewood provided by the YS Public Works Department and hot dogs provided by the YS Police Department — will be hosted at eight locations across the village. -
Senior Center and Glen Helen link arms for square dance fundraiser
On Sunday, Oct. 26, from 2–4 p.m., the two nonprofits will co-host a square dance fundraiser at the Glen’s Camp Greene. The event will feature live music from beloved area old-time band The Corndrinkers, with longtime caller Ceal Turnbull leading the dances. -
News from the Past: September & October 2025
Contributing writer Don Hollister dove into the YS News archives to uncover past articles and more in his most recent installment of his News from the Past column.
Government (archives)
-
Village Council wavers on Short Street future
Since June, the downtown road has been closed to vehicular traffic, and through Village-led efforts, has become a community gathering space — one that has since drawn both considerable criticism and praise. -
Vote-seekers sound off at James A. McKee Candidates Nights
Villagers packed the Mills Lawn gym Wednesday and Thursday, Oct. 15 and 16, for the Candidates Night community forums, hosted by the James A. McKee Association. -
2026 budget sessions begin with projected $512k deficit
Though municipal discussions are still underway and budgetary cuts are already being made, the Village’s General Fund, as of press time, is projected to operate in 2026 with a deficit of around $512,000.
Obituaries (archives)
-
Margaret ‘Margrit’ Page Tydings Petrie
Margaret “Margrit” Page Tydings Petrie died peacefully on the morning of Oct. 29, 2025, at Shawnee Estates Senior Living in Xenia, Ohio. -
Billy Joe Hahn Jr.
Billy Joe Hahn Jr., lover of life and liberty, left this realm, after a year-long battle with cancer. -
Nancy Elizabeth Foster
Nancy Elizabeth Foster was the first of five children born to the holy union of Newton W. and C. Inez (Johnson) Foster on April 22, 1960, in Columbus, Ohio. -
Millard George Mier
Millard George Mier, 89, passed away peacefully on Monday, Oct. 27, 2025. -
Ellen Ann Kubay Adkins
With deep sadness, the family of Ellen Ann Kubay Adkins announces her passing on Oct. 6, 2025, at Hospice of Dayton. She was 77 years young.
Higher Education (archives)
-
New term, new students at Antioch College
For the 2025–2026 academic year, Antioch enrolled 115 degree-seeking students, down from 121 last fall. Of those 115 students, 42 are new to Antioch, 70 are continuing students and three are returning, or re-admitted. -
Antioch College steps in as Job Corps future uncertain
Earlier this summer, Antioch College flew 11 young people from the Job Corps program to Yellow Springs, enrolled them in a summer academic program, and gave them dorm rooms, a meal plan, on-campus jobs and a path to pursue four-year degrees. -
Antioch College Reunion returns with community events
The annual Antioch College Reunion returns Thursday–Sunday, July 24–27. This year’s theme, “Antioch and the Arts,” includes a number of events open to the wider community.
Sports (archives)
-
Bulldog Sports Round-Up | Sept. 26, 2025
Yellow Springs continues to lead the Metro Buckeye Conference following three away games that led to two wins and a tie last week. -
Bulldog Sports Round-Up | Sept. 19, 2025
The Yellow Springs High School girls soccer team put up a valiant fight against Dixie High School, even though the scoreboard ended in an 8–0 loss. -
Bulldog Sports Round-Up | Sept. 12, 2025
Cheers went up for the Bulldogs at their first home game Saturday, Sept. 6; the boys bested Calvary Christian 6–1. Individual stats were not available at press time.













Recent Comments