
From left: Tanner Bussey, Kevin McGruder, Len Kramer, Antonia Dosik and Preston Harris were all smiles after unveiling a plaque that marks the end of a new self-guided Black history walking tour around the village. The tour is the product of collaborative work between The 365 Project, Livable/Equitable/Age-Friendly Yellow Springs, the YS Community Foundation and the Village of Yellow Springs. (Photo by Lauren "Chuck" Shows)
Take yourself on a tour, learn about Black history in Yellow Springs
The self-guided tour, a collaboration among The 365 Project, Livable/Equitable/Age-Friendly Yellow Springs, the YS Community Foundation and the Village of Yellow Springs, is working to pair permanent markers with an online map and historical notes designed for residents and visitors to follow on their own.
Click here to read more >>-
Bulldog Sports Round-Up | Dec. 5, 2025
The Varsity Bulldogs boys opened the season with a pair of nonconference losses, falling 64–57 to Southeastern on Wednesday, Nov. 26, and 61–28 to Preble Shawnee on Friday, Nov. 28.
[More] -
Annual Solstice Poetry Reading to benefit Tecumseh Land Trust, Glen Helen
The event, co-sponsored by Tecumseh Land Trust, Glen Helen and Tesseract Books, will take place Dec. 5, 7–9 p.m., in the Glen’s Vernet Ecological Center at 405 Corry St. Twelve local poets will read original works, followed by a wine and cheese reception and an open mic session.
[More] -
Card program aims to keep dollars local in Yellow Springs
The Yellow Springs Community Foundation and the YS Credit Union are joining forces to launch a new program aimed at incentivizing locals to spend more of their dollars in town.
[More]
More Stories
Arts (archives)
-
Villager’s new novel heads west
"As with Geisel’s earlier work, the physical settings in 'Orcas’ Call' map directly onto real places: Orcas Island, the Salish Sea, the Olympic Peninsula." -
‘No Visas’ for Foundry artists
“NO VISAS: A Hip-Hop Journey from Jaffa to Jerusalem to Yellow Springs,” will take place Saturday, Nov. 22, at 7 p.m., at the Foundry Theater. -
Ten-Minute Play fest seeks submissions, actors
Yellow Springs Theater Company is accepting submissions and actors for its annual Ten-Minute Play Festival, projected to be presented Feb. 13 and 14, 2026.
Village Schools (archives)
-
School board to fix more eyes on state, federal legislation
At its Thursday, Nov. 13, meeting, the YS school board discussed ensuring that more eyes stay fixed on state and federal legislation as lawmakers at both levels make decisions that could dramatically affect public schools. -
District talks state report card
District enrollment this fall stands at 608 students, with about 36% of students qualifying for free and reduced lunch. Roughly 17% of district students are identified with disabilities. -
John Gudgel honored for 45 years in YS Schools
“That’s the power of John Gudgel — to see what’s possible when others can’t, to open doors quietly but meaningfully, and to leave generations of students and families better because of his heart,” Assistant Superintendent Megan Winston said.
Economy (archives)
-
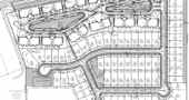
Planning Commission approves preliminary plan for 190-unit subdivision expansion
At the group’s most recent meeting, Tuesday, Nov. 11, Planning Commission approved a preliminary plat application for a sizable addition to the Spring Meadows subdivision in the northwestern reaches of Yellow Springs. -
Tom’s Market explores co-op model
For the time being, Tom’s Market, located at 242 Xenia Ave., is still privately and family owned — but owner Jeff Gray and others have begun a 45-day discovery process to determine the feasibility of and local interest in the co-op model. -
Yellow Springs Development Co. to purchase downtown buildings
Some iconic downtown Yellow Springs properties are set to change hands in the coming weeks: The Yellow Springs Development Corporation is purchasing the two buildings at 252 and 254 Xenia Ave.
Village Life (archives)
-
My Name Is Iden | At the speed of suffering
"I go for a lot of walks now. I go mostly in the morning. I like the morning time. It’s quiet, the whole day is open before me and so much still feels possible to me in the morning." -
News from the Past: November 2025
Contributing writer Don Hollister dove into the YS News archives to uncover past articles and more in his most recent installment of his News from the Past column. -
The Patterdale Hall Diaries | Lengthen night, shorten day
"A beautiful Midwest morning out at the Hall. I woke at sunrise and a mist was hanging over the cornfields. Very pretty indeed."
Government (archives)
-
Village Council approves a villagewide CRA, TIF agreement for schoolhouse
At the group’s most recent regular meeting, Monday, Nov. 17, Village Council members again turned their attention to two related, but distinct, economic development incentive tools that the Village aims to implement in the near future. -
Miami Township Trustees talk property taxes
Miami Township Trustees spoke at their Monday, Nov. 17, meeting about statewide efforts to quell rising property taxes — including a citizen-led effort to abolish property taxes entirely. -
State bills stymie schools, district leaders say
In October, the Ohio House approved House Bills 186, 335, 129 and 309. The measures, if passed by the Senate, will affect the calculation of the 20-mill property tax floor and inside millage increases, and give county budget commissions authority to reduce or override voter-approved school levies.
Obituaries (archives)
-
Matthew Adam Grote
Matthew Adam Grote, of Carlisle, Ohio, passed away unexpectedly Nov. 19, 2025, at the age of 65. -
Shirley Strohm Mullins
The amazing life of Shirley Strohm Mullins, who died Aug. 7, 2025, at the age of 90, will be celebrated with “Shirley’s Grand Finale Concert,” on April 4, 2026, 5:30–6:30 p.m., at First Presbyterian Church. -
Peter Robert Witson
The tale here on earth of Peter Robert Whitson, age 85, ended peacefully Monday, Nov. 10, 2025, surrounded by his family at the VA Hospice in Dayton, Ohio. -
R. Louise Dean
Held in love and God’s Light, Louise passed peacefully at 102 years of age on Nov. 25, 2025. -
Patricia Helen Faires
Patricia Helen Faires, 76, passed away on Nov. 18, 2025, in Fairborn, Ohio. Born on Feb. 15, 1949, Patricia graduated from Cedarville High School in 1967.
Higher Education (archives)
-
Varlotta takes the helm at Antioch University
When Lori Varlotta took office as the 23rd president of Antioch University on Aug. 11, she jumped right into getting acquainted with Yellow Springs. -
New term, new students at Antioch College
For the 2025–2026 academic year, Antioch enrolled 115 degree-seeking students, down from 121 last fall. Of those 115 students, 42 are new to Antioch, 70 are continuing students and three are returning, or re-admitted. -
Antioch College steps in as Job Corps future uncertain
Earlier this summer, Antioch College flew 11 young people from the Job Corps program to Yellow Springs, enrolled them in a summer academic program, and gave them dorm rooms, a meal plan, on-campus jobs and a path to pursue four-year degrees.
Sports (archives)
-
Bulldog Sports Round-Up | Oct. 24, 2025
The Yellow Springs Bulldogs girls soccer team faced down a tough post-season road match on Thursday, Oct. 16, suffering a 15–0 loss at the hands of Legacy Christian Academy Knights in district tournament play. -
Bulldog Sports Round-Up | Oct. 17, 2025
For the third year in a row, the middle school boys team won the Metro Buckeye Conference cross-country championships held at Emmanuel Christian Academy. -
Bulldog Sports Round-Up | Oct. 10, 2025
A slate of five straight wins over the last two weeks moved the varsity Bulldogs into third place in the Metro Buckeye Conference.











Recent Comments